INFORMACJA
PREZYDENTA MIASTA OSTROŁĘKI
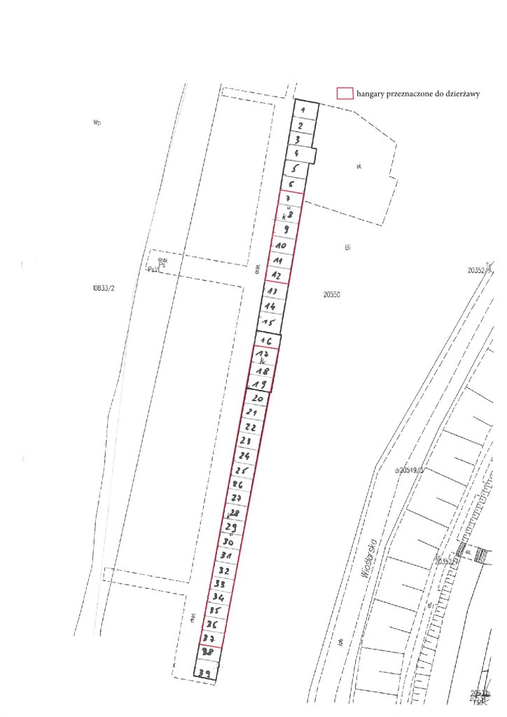
Stosownie do art. 35 ust.1 ustawy z dnia 21 sierpnia 1997 r. o gospodarce nieruchomościami (Dz. U. z 2023 r., poz. 344, z późn. zm.) informuję, że na elektronicznej tablicy ogłoszeń Urzędu Miasta Ostrołęki pl. gen. J. Bema 1, został wywieszony wykaz nieruchomości gruntowej ze szkicem sytuacyjnym, stanowiącej własność Miasta Ostrołęki, oznaczonej numerem 20550, położonej w Ostrołęce przy ulicy Wioślarskiej, której część przeznaczona jest do wydzierżawienia w drodze bezprzetargowej. Wykaz ww. nieruchomości zamieszczony został także na stronie internetowej Urzędu Miasta Ostrołęki (https://bip.um.ostroleka.pl/artykuly/105/wykazy-nieruchomosci).
Więcej informacji o działce na stronie https://ostroleka.geopotral2.pl

Ogłoszenie płatne UM Ostrołęki.


1
2
20
22