Na najbliższej sesji rady miasta radni podejmą decyzję w sprawie nadania nazwy ulicy. Zobacz, gdzie będzie znajdować się ulica Słonecznikowa. W programie sesji także projekt uchwały dotyczący przedłużenia ulicy Arkadiusza Gołasia.
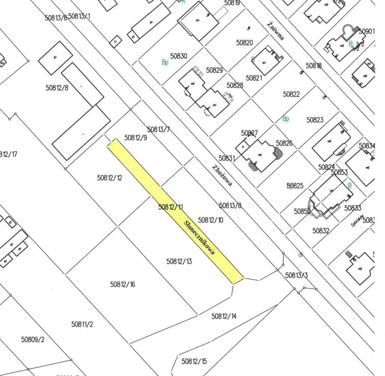
Jedna z firm zwróciła się z wnioskiem o nadanie nazwy drodze wewnętrznej położonej na osiedlu Pomian, stanowiącej działkę o numerze 50812/11, której jest właścicielem. Ulica położona jest w rejonie ulic: Zbożowej, Żniwnej, Siewnej i aby zachować spójność nazewnictwa zaproponowano, aby ulicy nadać nazwę Słonecznikowa.
Komisja Kultury, Dziedzictwa Narodowego i Promocji Rady Miasta Ostrołęki na posiedzeniu w dniu 7 września 2022r. pozytywnie zaopiniowała zaproponowaną przez wnioskodawcę nazwę ulicy.
Teraz projektem zajmie się rada miasta podczas sesji 29 września. Ale to nie jedyna "uliczna" uchwała podczas tej sesji. przedłużana będzie też ulica Arkadiusza Gołasia. Wszystko dlatego, że w 2020r. dokonano podziału gruntów i wydzielono dalszą część, stanowiącą przedłużenie tej ulicy do ul. Goworowskiej. Zachodzi zatem konieczność nadania nazwy ul. Arkadiusza Gołasia na całej długości od ronda 100-lecia Odzyskania Niepodległości do ul. Goworowskiej.






![Spacer historyczny śladami ostrołęckich rzeźb [ZDJĘCIA]](./luba//dane/pliki/zdjecia/m/img_3347.jpg)


2
3
10
13